Property Details
Premiere commercial office suite located in a modern boutique commercial building in the heart of Bondi Junction adjacent to Westfield Shopping Centre, Oxford Street Mall and the bus and rail interchange. Location doesn't get much better than this.
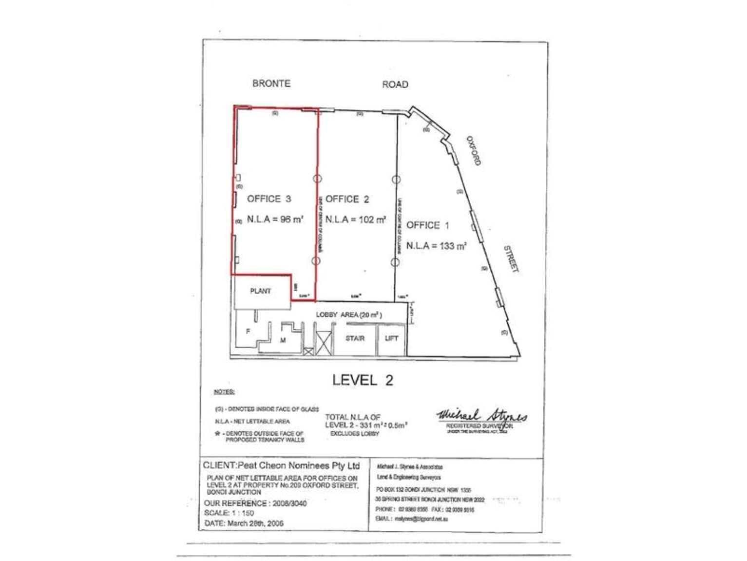
The office has a north west aspect and located on level 2 with good natural light and outlook to the north and west overlooking Oxford Street mall. Area Approx. 96sqm available suitable for any professional or medical use.
Price: $72,000 p.a plus gst
Inspect by appointment
Victor Negrine 0411 316 777
Building size
96 sqm (approx)


















